在丝路科学城的版图中,永安渠犹如一颗璀璨的明珠,闪耀着深厚的历史底蕴与独特的地理位置的光芒。这条古老的水渠,见证了隋唐长安城的繁华盛景,而在现代的城市发展中,它又焕发出了新的生机与活力。
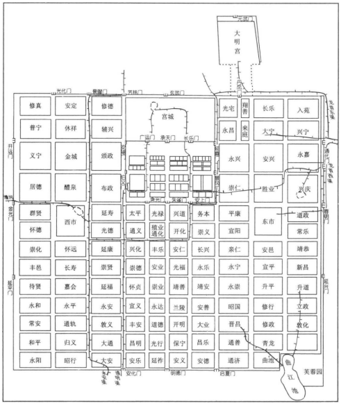
在隋开皇三年(公元583年),长安城作为国际大都市,人口稠密,商业兴旺。为了满足城市的用水需求,隋文帝下令开凿了永安渠。永安渠为隋唐长安城西市供水,全长十余里,从城西南的香积寺附近引交水入城,流经大通、敦义、永安、延福、崇贤、延康等坊之西,最终汇入渭河。在古时,它不仅为长安城提供了宝贵的水资源,更因其清澈的水质和优美的环境,成为人们休闲游憩的胜地。

随着时间的推移,永安渠逐渐融入了长安城的文化血脉,不仅是城西区域主要的供水渠道,还承担着防火、漕运等多重功能,此外长安城的园林、湖泊以及贵族宅邸的水池等,很多都依赖永安渠的水源。永安渠以其优美的风景,为这座古都增添了一道靓丽的风景线,人们在渠边吟诗作画,留下了丰富的文化遗产。
如今,随着西安高新区的迅猛发展,永安渠再次焕发出新的生命力。西安高新区充分挖掘永安渠的历史文化价值和自然景观优势,打造了一系列以永安渠为核心的项目,不仅为当地经济发展注入了新的活力,也让生态美景进一步走入高新人的生活。

在永安渠旧址上建起的永安渠海绵城市生态公园,以其优美的环境和完善的设施,已成为人们游玩赏景的好去处。作为高新区新添的一处碧水绿廊,公园自开放以来,便以其独特的“湿地+公园、休闲+科普”的慢生活模式吸引了众多游客前来打卡、观光和运动。公园还通过海绵绿地、创意广场、社区公园、文化街区和商业街区等功能配套设施,将丝路科学城中央创新区的核心区和多元功能区紧密串联起来,不仅逐渐恢复了昔日长安城永安渠游人往来如织的盛景,更是进一步发挥了这条古老水渠的新动能,逐渐成为西安滨水新生活的典范和未来标杆。

站在经二十二路与纬三十六路交叉口,如今围绕永安渠旧址建立起的永安渠商旅文化街区尽收眼底。正在建设中的永安滨荟中心、永安领汇中心、永安格韵坊、永安万汇广场、永安渠生态商谷等项目分区明确、各具特色,如同明珠般镶嵌在永安渠水系两旁。这条银色的水系巧妙地串联起各个功能区域,将商业、办公、酒店等多元业态完美融合,让这条古老的水系闪耀出新时代的光辉。

永安渠商旅文化街区以永安渠水系为中轴,通过潺潺流水和景区化布局为商业空间注入全新活力。这里将打造成为集体验型购物、滨水商业街、商办配套、精品酒店及商业文化设施等功能于一体的城市活力中心,成为引领丝路科学城商业升级的城市级地标性商圈。

展望未来,永安渠将继续以其独特的文化魅力和生态价值为丝路科学城乃至整个西安市的发展贡献更多的力量。这条见证长安城历史沧桑的水系在现代城市发展中焕发出新的光彩,它不仅是丝路科学城的一张重要文化名片,更是推动区域经济发展的重要引擎。
责任编辑:王岚
换一批